- Knowing about Hurricans
- US-Coast Guard
- Hurricane Education
- How to prepare for a Hurricane
- Swiss Golf vacation
- Swiss Consulate Generale Atlanta, GA
- Gateway to Switzerland and Swiss Quiz
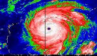
SOS: HURRICANE TRACKS

HURRICANE EDUCATION (Published by NASA.) How to prepare for a Hurricane
Swiss Golf Hotels Open a Swiss Bank Account Swiss Consulate Generale Atlanta, GA
Check out the Gateway to Switzerland and participate in Quiz
....see our ad in The HomeMag
We proudly accept...








